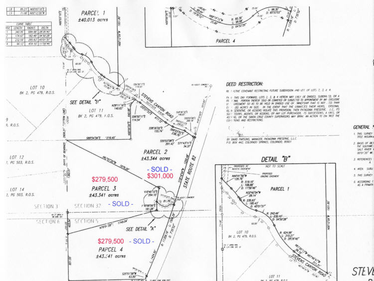
Parcel
Map
Note:
If you find it difficult to view this map on your computer, please don't hesitate
to contact the broker,
Sam Hubbell, (info@headquarterswest.com),
he would be happy to mail you a printed brochure.
Please click
here or press the "Back" button on your
browser to return to the brochure.

|
Disclaimer: This information was obtained
from sources deemed to be reliable but is not guaranteed by the Broker.
Prospective buyers should check all the facts to their satisfaction.
The property is subject to prior sale, price change, or withdrawal.
|